Gresik – Dugaan perubahan status tanah fasilitas umum (fasum) yang semula tercatat sebagai milik perusahaan pengembang (PT. RJK) namun kini diklaim menjadi milik pribadi oknum Kepala Desa Ama Kasun mencuat dan menuai sorotan publik di Sidojangkung, Kabupaten Gresik.
banner 325×300
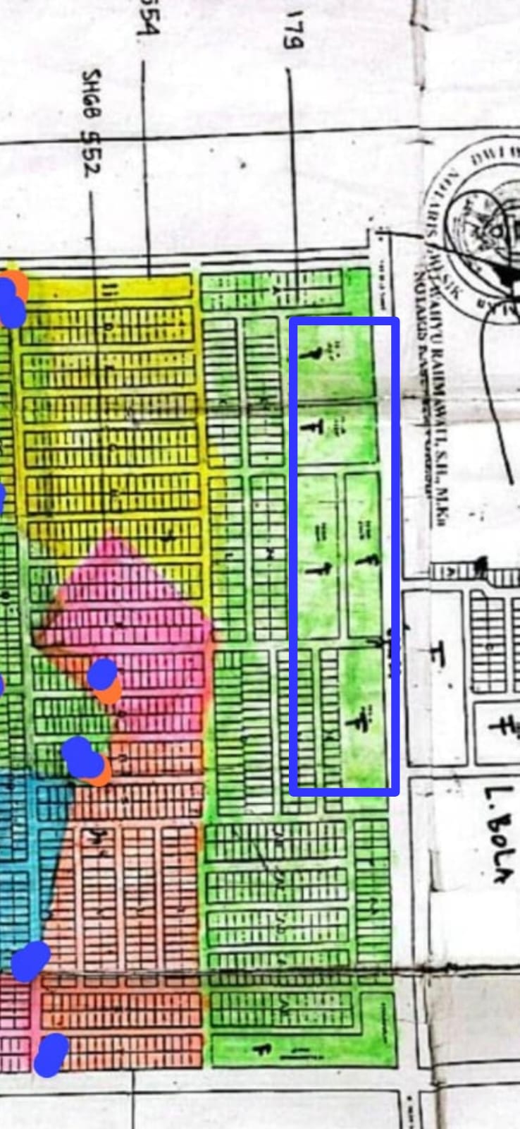
Bp mengungkapkan kejanggalan tersebut bermula dari pertemuan dengan para pihak terkait diantaranya perijinan,BPN, camat Kades Sidojangkung beserta Tim PT RJK di mana secara tegas disampaikan bahwa status awal tanah tersebut adalah milik PT. RJK sesuai siteplan.

Siteplain perusahaan PT RJK / Perum WSI
“Dalam pertemuan dengan para pihak, sudah jelas disampaikan bahwa status tanah itu milik PT.RJK, pertanyaannya, mengapa kemudian bisa berubah menjadi milik oknum kepala Desa Ama Kasun Sido jangkung….??
dan banyak tanah tanah yang dijual melalui nekanisme surat petok D ujar BP Senin /(2/1/2026)
Bp menegaskan, jika lahan tersebut merupakan bagian dari fasum atau aset yang wajib diserahkan pengembang kepada pemerintah daerah, maka perubahan status menjadi kepemilikan pribadi merupakan persoalan serius yang tidak bisa dianggap sepele. Menurutnya, perubahan itu harus memiliki dasar hukum yang jelas, terbuka, dan dapat diuji publik.
Salah satu Sertifikat induk
Ironisnya, saat awak media mencoba mengonfirmasi langsung kepada Kepala Desa Sidojangkung dan Kasun Darmaji terkait dasar perubahan status tanah tersebut, jawaban yang disampaikan justru dinilai tidak memberikan kejelasan.
“Ketika kepala desa Ama Kasun Darmaji ditanya soal status tanah yang awalnya milik PT, jawabannya hanya singkat, ‘silakan ditulis’. Tidak ada penjelasan hukum ataupun klarifikasi administratif,” ungkap bp
Respons tersebut dinilai semakin memperkuat dugaan adanya kejanggalan dalam proses administrasi pertanahan. Daniel menilai sikap tersebut tidak mencerminkan transparansi pejabat publik, terlebih persoalan ini menyangkut aset yang seharusnya diperuntukkan bagi kepentingan masyarakat.
Melalui Narasumber yang dulunya marketing Sebut saja Sell Dia mengungkapkan Saya dulu banyak menjualkan tanah itu mas lewat Puji dari BTN Bangkalan saya dapat fee dari dia ,” ungkapnya
Menututnya Sell mengungkapkan selai puji ada banyak tanah yang sampai sekarang tak bisa di suratkan Bapak silakan tanya ke Kades Sidojangkung.banyak yang masih ada jual belinpakai Pethok D saya gak tahu kalau tanah di WSI ini sudah SHGB tapi nyatanya bisa di munculkan Pethok D dari Kades / Desa.pokoknya sampean tahu sendirilah Kades Sidojangkung ,” imbuhnya
Atas kondisi itu, tim media mendesak Inspektorat Kabupaten Gresik, Badan Pertanahan Nasional (BPN), serta Aparat Penegak Hukum untuk segera melakukan audit dan penelusuran menyeluruh, mulai dari alas hak tanah, proses pengukuran dan sertifikasi, hingga pihak-pihak yang memberikan rekomendasi administratif.
“Fasum atau tanah milik PT. RJK tidak bisa tiba-tiba menjadi milik pribadi. Jika tidak ada dasar hukum yang sah, maka ini patut diduga sebagai bentuk penyalahgunaan kewenangan,”
Hingga berita ini diturunkan, Kepala Desa Sidojangkung belum memberikan keterangan resmi lanjutan terkait dasar hukum kepemilihan lahan

